很多做了除皱针的人感叹:以前买的几千元的眼霜除鱼尾纹一点效果都没有,没想到打一针除皱针,皱纹立即没有了!太神奇了!

此前有外用产品宣称能做到像肉毒素注射除皱一样的效果,可能吗?

答:皱纹是日积月累的阳光伤害和皮肤的天然支撑结构不可避免的弱化造成的,与皮肤干燥引起的浅表性细纹完全不同。后者可以用保湿品来缓解,但不管添加的是什么成分,也不管宣称有多么神奇,任何保养品都无法替代整形医生和皮肤科医生的帮助。



不管是肉毒素针剂还是肉毒素面霜,要想达到美容效果,最好是能够到达皮下深层或者肌肉层!很显然,针剂是更容易做到的,外用的涂抹式面霜要想到达这么深的层次,想一想你要搓掉多少层皮才能做到,想想都疼,即便是到了,药性还能剩下多少。

邓皓仁 吴氏嘉美 注射抗衰主任


美国BOTOX、瑞典瑞蓝Restylane授证医师
及西南专家组 理事

执业起点:2005年
手术案例:9800例

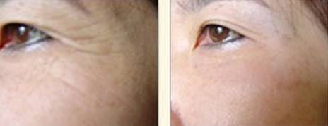
打完除皱针,你就可以像她们一样青春不老



宋佳母女↑

李小璐母女↑

曾宝怡母女↑

张咪母女↑

应采儿母女↑

亲们!要想快速除皱,还是注射玻尿酸、肉毒素靠谱!


入院即送3200礼券,整形美容全场88折,还等什么?立即点击左下角↓↓↓“阅读原文”或直接致电0871-66363999与医生助理一对一沟通,品鉴吴氏嘉美32周年庆经典项目。